天気予報は当たるんだなーっ!
5月3日は全国的に天気が崩れるとの予報が以前よりありましたが、
沖縄も例外なく今日は時化!
船はクローズになり、今日のファンダイビングのご案内はゴリラチョップで!
4日目にして最終日のリピーターEさん&Gさんは毎年沖縄に来ていますが、
今日が初ビーチ!たまにはいいよね~、時間気にせずのんびり潜り!ちょっと寒かったですが。。。
今日の海況
天気:曇り/雨 最高気温:21℃ 風向き:北北西6m 透明度:15m 水温23℃
沖縄ダイビングセンター初ご来店の8名様!(本日は風邪で1名欠席ですが、明日は皆揃うよ!)

★恩納村 ファンダイビング!★
会社の同期の皆様だそうで、、、同期皆でダイビング旅行とか、、、最高すぎるGWじゃん!
宿泊は一軒家を借りて皆でワイワイ宴会だそうです。
明日はどうにか船も出そうで、予定通り万座をご案内できそうです!
沖縄には何度か来ているみたいですが、ゴリチョは初!ってことで、、、
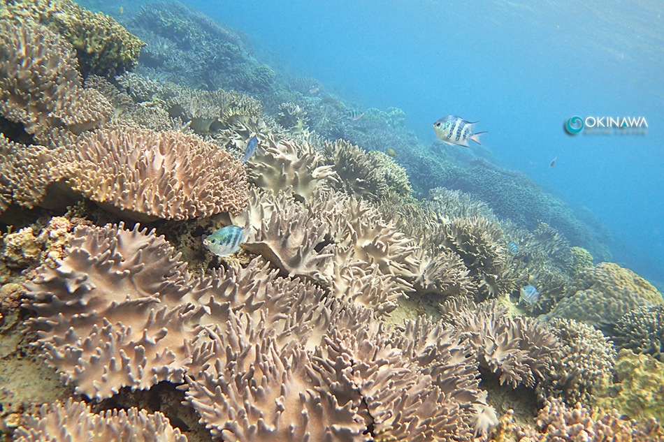
最初はサンゴモリモリの海をのんびり漂ってもらいました。

★ゴリラチョップ!★
綺麗なソフトコーラル!っと思って入ったものの、、、ポリプ全閉じ!!
でもなんとなく綺麗だ!っていうのは伝わったかなー。
明日はハードなサンゴ楽しみましょう~!
アカメハゼ、ツマジロオコゼ、コノハガニ、タイワンカマスの群れ、各種クマノミ、
スズメダイいろいろ、チョウチョウウオいろいろと、サンゴ以外にもオモシロ生物から沖縄らしい海でした!

☆ソフトコーラル☆
ゴリチョの浅場はソフトコーラルが多くてとっても綺麗なところ♪
沖縄来たな~って感じさせてくれる癒しの空間なんですよー!

☆透き通る卵☆
スケスケな卵はお花畑みたいですねっ。
淡くて美しいです~!
これから数日もすればキラキラな目ができるんだろうな!

☆アシビロサンゴヤドリガニ☆
体の模様と色がとっても美しい小さいカニさん!
見つけたらじっくり狙いましょうねっ。

☆前ボケ!?☆
すげーーーっ!
ある意味狙ってできるもんじゃないよね!
ナイスショットです。

☆みんなで!☆
リピーターの皆様ありがとうございました!
GWまだまだ楽しみましょうね!
明日の海況
風は落ち着く予報ですのでボートは出船するでしょう!真栄田は朝判断になります。
明日も張り切っていきますよー!
皆様、よろしくお願い致します!
投稿者プロフィール
最新の投稿
インスタグラム2022-01-09ホームの山田・真栄田岬♪
インスタグラム2022-01-08ビーチから足腰の強化♪
今日の海日記2019-05-29久しぶりの北風!
今日の海日記2019-05-28恩納ブルー!



